松山不動産.COM TOPページ > 松山市土居町 > 土居町土地1号地
伊予鉄道横河原線 北久米駅石井東小学校区土地1287万円の物件詳細です。
松山市土居町 土地
価格 1,287万円 返済例 月々 円
伊予鉄道横河原線 北久米駅 徒歩35分
土地
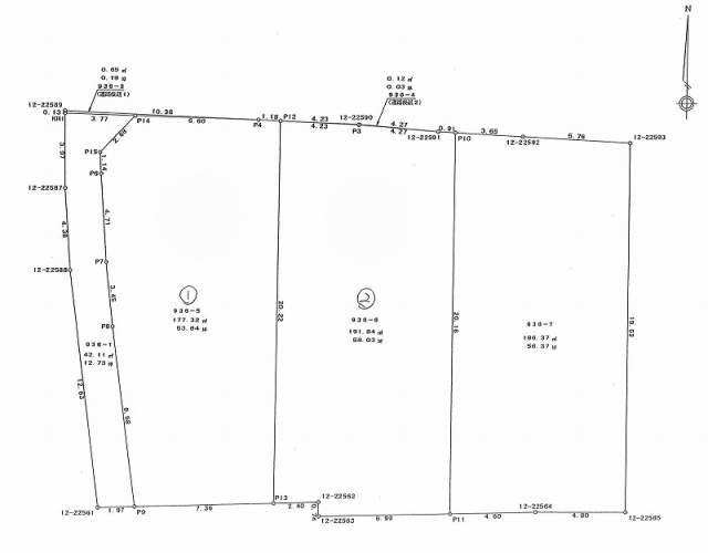
土地面積 177.32㎡(53.64坪)| 物件番号 | 12334 |
|---|---|
| 住所 | 松山市土居町 |
| 最寄駅 | 伊予鉄道横河原線 北久米駅 徒歩35分 |
| 小学校区 | 石井東小学校区 |
| 中学校区 | 南第二中学校区 |
| 物件名 | 土居町土地1号地 |
| 土地面積 | 177.32㎡ |
| 土地権利 | 所有権 |
| 地目 | 宅地 |
| 地勢 | 平坦 |
| 都市計画 | 市街化調整区域 |
| 建ぺい率 | 70% |
| 容積率 | 200% |
| 国土法 | 不要 |
| 備考 | ●協議協定有 ●43条許可必要(買主負担) |
| 設備 | 水道:公営/ガス:プロパン/排水:浄化槽 |
| 現況 | 更地 |
| 引渡し | 相談 |
| 取引態様 | 仲介 |
| 情報更新日 | 2026/02/24 |
| 次回更新予定日 | 2026/03/26 |
現在の店頭基準金利は2.475%
1287万円 借入期間年/金利%
毎月のお支払い額
円
※頭金0円でボーナス払いなしの場合の金額です。
また、お客様のご条件により金利の優遇幅が変動する場合があります。
また、お客様のご条件により金利の優遇幅が変動する場合があります。
土居町土地1号地

全2区画の新規分譲地!

| 物件担当の冨田 昌寛です。 現地へのご案内につきましてはお気軽にお問い合わせください。 |

ボタンをクリックすると、物件近辺からのルート検索、周辺の生活施設の検索が可能です。
| 物件ページQR | |
| 物件周辺地図QR |
その他設備・条件



























お問合せの際は、物件番号NO.33159をお知らせいただくとスムーズにご紹介ができますのでよろしくお願い致します。