松山市南梅本町 土地
価格 1,105.19万円返済例 月々 円
土地
伊予鉄道横河原線 梅本駅四国がんセンター前駅 徒歩3分
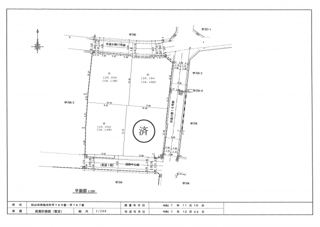
土地面積 126.00 / 建物面積 0.00㎡ / 間取り --
|
|
| 物件番号 | 12597 |
|---|---|
| 住所 | 松山市南梅本町 |
| 最寄駅 | 伊予鉄道横河原線 梅本駅四国がんセンター前駅 徒歩3分 |
| 小学校区 | 小野小学校区 |
| 中学校区 | 小野中学校区 |
| 建物面積 | 0.00㎡ |
| 管理費 | - |
| 修繕積立金 | - |
| 管理形態 | - |
| 土地面積 | 126.00㎡実測 |
| 土地権利 | 所有権 |
| 地目 | 宅地 |
| 地勢 | 平坦 |
| 都市計画 | 市街化区域 |
| 用途地域 | 第一種住居地域 |
| 建ぺい率 | 60% |
| 容積率 | 200% |
| 接道状況 | 北 |
| 備考 | ●建物解体・造成工事・給排水工事後のお引渡しです。 ●水道負担金35万円、境界基礎ブロック折半費用13,000円+税/m |
| 設備 | 水道:公営/ガス:プロパン/排水:浄化槽 |
| 現況 | 上物有 |
| 引渡し | 相談 |
| 取引態様 | 仲介 |
| 情報更新日 | 2026/03/23 |
| 次回更新予定日 | 2026/04/22 |
現在の店頭基準金利は2.475%
万円 借入期間年 金利%
毎月のお支払い額円
※頭金0円で10年固定(ボーナス払いなし)の場合の金額です。
南梅本町土地 1号地
更地渡し!
| 物件担当の冨田 昌寛です。 現地へのご案内につきましてはお気軽にお問い合わせください。 |
小野小学校区
小野中学校区
