松山市市坪南2丁目 土地
価格 1,490万円返済例 月々 円
土地
JR予讃線 市坪駅 徒歩1分
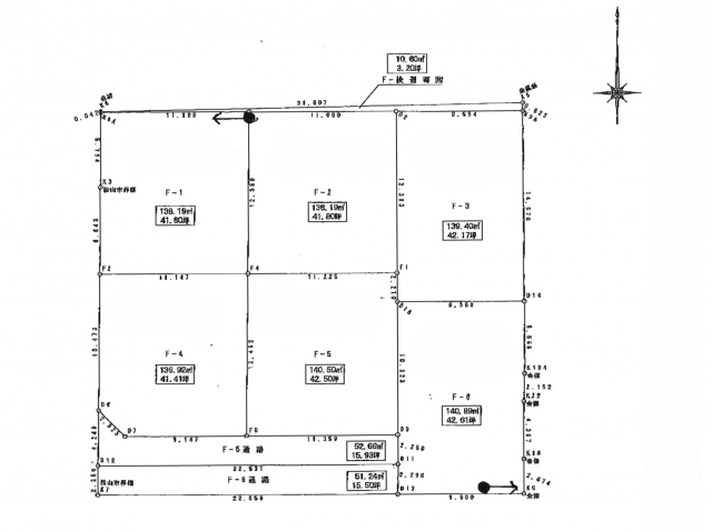
土地面積 136.92 / 建物面積 0.00㎡ / 間取り --
|
|
| 物件番号 | 12322 |
|---|---|
| 住所 | 松山市市坪南2丁目 |
| 最寄駅 | JR予讃線 市坪駅 徒歩1分 |
| 小学校区 | 椿小学校区 |
| 中学校区 | 椿中学校区 |
| 建物面積 | 0.00㎡ |
| 管理費 | - |
| 修繕積立金 | - |
| 管理形態 | - |
| 土地面積 | 136.92㎡ |
| 地目 | 宅地 |
| 都市計画 | 市街化区域 |
| 用途地域 | 第二種中高層住居専用地域 |
| 建ぺい率 | 60% |
| 容積率 | 200% |
| 接道状況 | 西側(公道) |
| 備考 | 上水道負担金 35万円 下水道受益者負担金 (250円/m2) 境界基礎ブロック折半分 |
| 設備 | 水道:公営/排水:下水 |
| 現況 | - |
| 引渡し | 期日指定 |
| 取引態様 | 仲介 |
| 情報更新日 | 2026/01/23 |
| 次回更新予定日 | 2026/02/22 |
現在の店頭基準金利は2.475%
万円 借入期間年 金利%
毎月のお支払い額円
※頭金0円で10年固定(ボーナス払いなし)の場合の金額です。
市坪南2丁目土地 4号地
| 物件担当の大堀 聡です。 現地へのご案内につきましてはお気軽にお問い合わせください。 |
椿小学校区
椿中学校区
