松山市北梅本町 土地
価格 1,237万円返済例 月々 円
土地
伊予鉄道横河原線 梅本駅四国がんセンター前駅 徒歩6分
土地面積 127.88 / 建物面積 0.00㎡ / 間取り --
|
|
|
| 物件番号 | 12223 |
|---|---|
| 住所 | 松山市北梅本町 |
| 最寄駅 | 伊予鉄道横河原線 梅本駅四国がんセンター前駅 徒歩6分 |
| 小学校区 | 小野小学校区 |
| 中学校区 | 小野中学校区 |
| 建物面積 | 0.00㎡ |
| 管理費 | - |
| 修繕積立金 | - |
| 管理形態 | - |
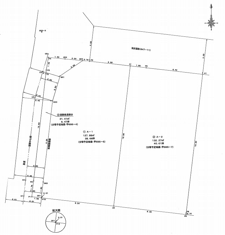
| 土地面積 | 127.88㎡ |
| 土地権利 | 所有権 |
| 地目 | 宅地 |
| 地勢 | 平坦 |
| 都市計画 | 市街化区域 |
| 用途地域 | 第一種住居地域 |
| 建ぺい率 | 60% |
| 容積率 | 200% |
| 国土法 | 不要 |
| 法令上の制限 | 建築基準法第22条地域 |
| 接道状況 | 北 幅員:約4.0m 私道 接面:約5.41m ・ 西 幅員:約3.3m 公道 接面:約13.9m |
| 備考 | ●西側道路(42条に準ずる道路)・北側道路(位置指定)※道路後退済み(後退部分の舗装は売主にて行います) ●1号地・2号地間の境界中心ブロック折半費用必要(売主にて境界基礎・差し筋は施工します) ●水道工事負担金330,000円必要 |
| 設備 | 水道:公営/ガス:プロパン/排水:浄化槽 |
| 現況 | 更地 |
| 引渡し | 相談 |
| 取引態様 | 売主 |
| 情報更新日 | 2025/12/22 |
| 次回更新予定日 | 2026/01/21 |
現在の店頭基準金利は2.475%
万円 借入期間年 金利%
毎月のお支払い額円
※頭金0円で10年固定(ボーナス払いなし)の場合の金額です。
- 角地
北梅本町土地 1号地
建築条件なし!学校やスーパー、駅近くの住環境の良い立地です♪
| 物件担当の冨田 昌寛です。 現地へのご案内につきましてはお気軽にお問い合わせください。 |
小野小学校区
小野中学校区
