松山不動産.COM TOPページ > 松山市東野2丁目 > 東野2丁目土地3号地
伊予鉄道市内電車松山市駅線 道後公園駅桑原小学校区土地1680万円の物件詳細です。
松山市東野2丁目 土地
価格 1,680万円 返済例 月々 円
伊予鉄道市内電車松山市駅線 道後公園駅 徒歩24分
土地
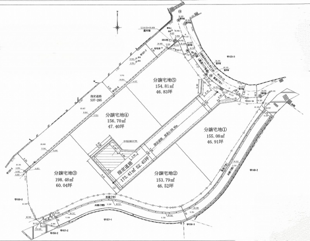
土地面積 198.48㎡(60.04坪)
お問合せの際は、物件番号NO.33456をお知らせいただくとスムーズにご紹介ができますのでよろしくお願い致します。
| 物件番号 | 12635 |
|---|---|
| 住所 | 松山市東野2丁目 |
| 最寄駅 | 伊予鉄道市内電車松山市駅線 道後公園駅 徒歩24分 |
| 小学校区 | 桑原小学校区 |
| 中学校区 | 桑原中学校区 |
| 物件名 | 東野2丁目土地3号地 |
| 土地面積 | 198.48㎡ |
| 都市計画 | 市街化区域 |
| 用途地域 | 第一種低層住居専用地域 |
| 建ぺい率 | 50% |
| 容積率 | 80% |
| 備考 | ●電柱、支線、配線が入ります。 ●上水道負担金、雨水放流負担金、境界基礎ブロック費が別途発生します。 ●固定資産税の清算金は別途の計算となります。 |
| 現況 | - |
| 引渡し | 相談 |
| 取引態様 | 仲介 |
| 情報更新日 | 2026/04/28 |
| 次回更新予定日 | 2026/05/28 |
現在の店頭基準金利は2.475%
1680万円 借入期間年/金利%
毎月のお支払い額
円
※頭金0円でボーナス払いなしの場合の金額です。
また、お客様のご条件により金利の優遇幅が変動する場合があります。
また、お客様のご条件により金利の優遇幅が変動する場合があります。
東野2丁目土地3号地
| 物件担当の冨田 昌寛です。 現地へのご案内につきましてはお気軽にお問い合わせください。 |

ボタンをクリックすると、物件近辺からのルート検索、周辺の生活施設の検索が可能です。
| 物件ページQR | |
| 物件周辺地図QR |
その他設備・条件


























