松山不動産.COM TOPページ > 松山市南梅本町 > 南梅本町土地4号地
伊予鉄道横河原線 梅本駅四国がんセンター前駅小野小学校区土地1239.55万円の物件詳細です。
松山市南梅本町 土地
価格 1,239.55万円 返済例 月々 円
伊予鉄道横河原線 梅本駅四国がんセンター前駅 徒歩3分
土地
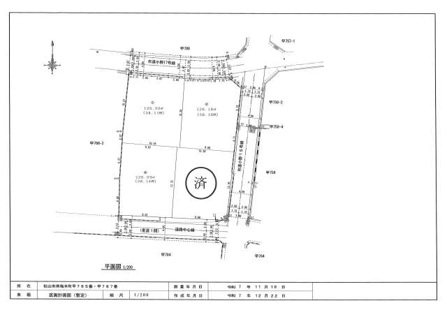
土地面積 126.11㎡(38.15坪)
お問合せの際は、物件番号No.33420をお知らせいただくとスムーズにご紹介ができますのでよろしくお願い致します。
| 物件番号 | 12599 |
|---|---|
| 住所 | 松山市南梅本町 |
| 最寄駅 | 伊予鉄道横河原線 梅本駅四国がんセンター前駅 徒歩3分 |
| 小学校区 | 小野小学校区 |
| 中学校区 | 小野中学校区 |
| 物件名 | 南梅本町土地4号地 |
| 土地面積 | 126.11㎡実測 |
| 土地権利 | 所有権 |
| 地目 | 宅地 |
| 地勢 | 平坦 |
| 都市計画 | 市街化区域 |
| 用途地域 | 第一種住居地域 |
| 建ぺい率 | 60% |
| 容積率 | 200% |
| 接道状況 | 北・東 |
| 備考 | ●建物解体・造成工事・給排水工事後のお引渡しです。 ●水道負担金35万円、境界基礎ブロック折半費用13,000円+税/m |
| 設備 | 水道:公営/ガス:プロパン/排水:浄化槽 |
| 現況 | 上物有 |
| 引渡し | 相談 |
| 取引態様 | 仲介 |
| 情報更新日 | 2026/05/23 |
| 次回更新予定日 | 2026/06/22 |
現在の店頭基準金利は2.475%
1239.55万円 借入期間年/金利%
毎月のお支払い額
円
※頭金0円でボーナス払いなしの場合の金額です。
また、お客様のご条件により金利の優遇幅が変動する場合があります。
また、お客様のご条件により金利の優遇幅が変動する場合があります。
- 南道路につき日当り良好
松山市南梅本町売土地4号地

更地渡し!

| 物件担当の冨田 昌寛です。 現地へのご案内につきましてはお気軽にお問い合わせください。 |

ボタンをクリックすると、物件近辺からのルート検索、周辺の生活施設の検索が可能です。
| 物件ページQR | |
| 物件周辺地図QR |
その他設備・条件


























