松山不動産.COM TOPページ > 松山市市坪南2丁目 > 市坪南2丁目土地3号地
JR予讃線 市坪駅椿小学校区土地1379万円の物件詳細です。
松山市市坪南2丁目 土地
価格 1,379万円 返済例 月々 円
JR予讃線 市坪駅 徒歩1分
土地
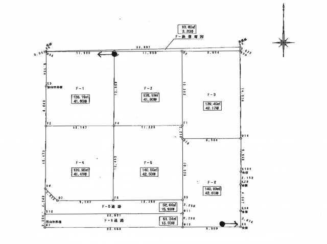
土地面積 139.40㎡(42.17坪)| 物件番号 | 12321 |
|---|---|
| 住所 | 松山市市坪南2丁目 |
| 最寄駅 | JR予讃線 市坪駅 徒歩1分 |
| 小学校区 | 椿小学校区 |
| 中学校区 | 椿中学校区 |
| 物件名 | 市坪南2丁目土地3号地 |
| 土地面積 | 139.40㎡ |
| 地目 | 宅地 |
| 建ぺい率 | 60% |
| 容積率 | 200% |
| 接道状況 | 北側(公道) |
| 備考 | 上水道負担金 35万円 下水道受益者負担金 (250円/m2) 境界基礎ブロック折半分 |
| 設備 | 水道:公営/排水:下水 |
| 現況 | - |
| 引渡し | 2026年 03月 |
| 取引態様 | 仲介 |
| 情報更新日 | 2026/01/23 |
| 次回更新予定日 | 2026/02/22 |
現在の店頭基準金利は2.475%
1379万円 借入期間年/金利%
毎月のお支払い額
円
※頭金0円でボーナス払いなしの場合の金額です。
また、お客様のご条件により金利の優遇幅が変動する場合があります。
また、お客様のご条件により金利の優遇幅が変動する場合があります。
松山市市坪南2丁目売土地3号地
| 物件担当の大堀 聡です。 現地へのご案内につきましてはお気軽にお問い合わせください。 自己紹介はこちら |

ボタンをクリックすると、物件近辺からのルート検索、周辺の生活施設の検索が可能です。
| 物件ページQR | |
| 物件周辺地図QR |
その他設備・条件



























お問合せの際は、物件番号No.33147をお知らせいただくとスムーズにご紹介ができますのでよろしくお願い致します。